Elexsandro Araujo
Hamas adia entrega de corpos depois que Netanyahu ordena ‘ataques poderosos’...
O lento regresso dos corpos dos reféns representa um desafio à implementação das próximas fases do cessar-fogo, que abordará questões ainda mais complicadas, como...
Assista ao vivo: Audiência no Senado sobre o aumento da violência...
O Subcomitê Judiciário do Senado para a Constituição realiza uma audiência sobre o aumento da violência política de esquerda na terça-feira, 28 de outubro.
“O...
Será que o concorrente do NL East poderia roubar o ‘amado’...
O Mets de Nova York pode acabar se arrependendo se a equipe permitir que o astro da base inicial Pete Alonso entre em...
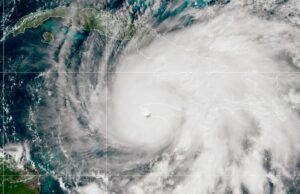
‘Tempestade do século’ atravessa a Jamaica
A partir das 15h ET (6h AEDT), o furacão Melissa sofreu ventos de mais de 257 km/h, de acordo com o Centro Nacional de...
Ruben Amorim transformou totalmente o estilo de jogo do Male United...
Ruben Amorim foi designado pelo Manchester United para trazer um design distinto de jogo e identificação ao grupo. Uma identificação...
A Ala Leste nunca teve chance
A semana passada pareceu genuinamente surreal, um sonho febril e descontrolado da demolição da...
A correspondência de custos pode pressionar a mão dos chefes antes...
Com a data prevista para a carreira na NFL, 4 de novembro, a uma semana de distância e uma jornada de alto nível...
A Austrália gastou US$ 19,7 bilhões no combate a essa condição...
Os gastos com saúde da Austrália aumentaram para 10% do PIB, com 270,5 mil milhões de dólares ou 10.037 dólares por pessoa gastos, de...
Furacão Melissa atinge a ilha da Jamaica
Vídeo: Furacão Melissa atinge a ilha da JamaicaFuracão Melissa atinge a ilha da JamaicaLamentamos, mas este recurso não está disponível no momento. Estamos trabalhando...
A Ineos permitiu que Ruben Amorim fizesse um grande telefonema sobre...
A Ineos precisa atualmente de recuperar o equilíbrio de poder com Ruben Amorim, tendo a última palavra sobre o que deverá acontecer a...









