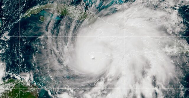
A partir das 15h ET (6h AEDT), o furacão Melissa sofreu ventos de mais de 257 km/h, de acordo com o Centro Nacional de Furacões dos EUA, disse a CNN.
Pelos padrões do centro, os furacões de categoria 5 têm ventos de pelo menos 157 milhas por hora – 252,6 km/h – então Melissa está perto de cair na classificação.
Mas o perigo ainda está muito presente para a Jamaica, apesar dos ventos terem caído 8 km/h na última hora.
O centro de furacões emitiu um alerta quando o olho da tempestade passou sobre o país.
“ESTA É UMA SITUAÇÃO EXTREMAMENTE PERIGOSA E COM AMEAÇA DE VIDA! Não deixe seu abrigo enquanto o olho passa, pois os ventos aumentarão rapidamente do outro lado do olho.”
O olho de um furacão está relativamente calmo, o que pode levar as pessoas a pensar que a tempestade passou, quando, na verdade, estão apenas na metade.



